
糸魚川黒姫山の中腹に広がる黒姫山カルストの一つ(まいこみ平)を歩きました。黒姫山の周辺にはカルスト地形が広がっています。ドリーネやウバーレ・ポリエ・といった独特の地形が形成されていて、今回はそのうちの標高600~700mに広がるポリエウバーレやいくつかのドリーネを歩きました。ポリエウバーレは水によって石灰岩が浸食され周りに崖のような山に囲まれた盆地のような地形です。たくさんのシダが生育していました。ドリーネはすり鉢状(お椀型)で、直径20m~50m程度のものまであり深さも10~30m程度でした。いくつかのドリーネでは水の浸食による立坑のような垂直方向の洞窟が明瞭に穿たれているものもありました。この黒姫山カルストこの立坑のような洞窟は、日本で1,2の深さ(300~500m)を誇るそうです。海底で厚く堆積した石灰岩が高く隆起したためにこのような深い洞窟ができました。
このような立坑の洞窟のあるドリーネのいくつかでは、洞窟から10~15℃の冷気が絶えず噴出されていて、周囲は非常に冷たい状況です。観察に訪れた当日は晴天、この夏は太平洋高気圧が広く日本を覆い日本海側はフェーン現象でさらに暑くなっていました。糸魚川駅周辺は35℃、まいこみ平でも30℃近くあったと思います。いくつかの立坑を持つドリーネでは上部と底部では大変な温度差が生じていました。・・・・・・
ポリエ(石灰岩溶食凹地)内で見られた花やシダ
ポリエ内(まいこみ平全体)にはいくつかのドリーネが点在しています。ポリエ内にはこの時期、乾いた涸れ沢が見られますが、川の幅などから雪解け水や雨の多い時期にはたくさんの水が流れていることが想像できます。ガイドしてくださった方のお話では、川となった時期にはイワナも泳ぎだすそうです。この川の水はポリエ内から川のまま海まで流れ下るのではなくポリエ内にいくつかあるポノール(石灰岩地域で地上を流れる河流が地下にもぐって伏流となる場所または吸込み口)にすべて流れ込み、地下の洞窟を流れ下り、その後、低地を流れる川に合流します。

①ポリエ内を流れる川の跡
②まいこみ平の水を吸い込む竪穴 (ガイドブックから転載させていただきました。)
まいこみ平内は多少起伏に富んでいますが、大きく見れば平坦な盆地地形です。ミズナラやサワグルミ、トチノキ、オノエヤナギなどの高木、タニウツギやユキツバキなどの低木の森が広がり、林床にはオタカラコウ、アカソの仲間などの高茎草本やサカゲイノデ、オオバショリマ、ミヤマメシダ、クサソテツ、ミヤマシケシダの仲間、ミヤマワラビなどが群生しています。石灰岩の岩壁にはダイモンジソウ、クガイソウ、ミョウギカラマツ、オウレンシダ、コタニワタリ、ツルデンダなどが見られました。
雪解けや梅雨の季節にはまいこみ平内に川ができます。これらの水はすべてまいこみ平内の竪穴洞窟を通り地下に流れ込んでいます。このような涸れ沢にもイワナが生息しているそうです。水のない季節は泥や水たまりでじっとしているのでしょうか。しかし考えてみれば、どうしてここにイワナがいるのか不思議です。川伝いに上がってこれないところにイワナがいます。昔は谷筋に沿ってそれなりの水量の水が流れてい時期があったのでしょうか。
①クサアジサイ
②シライトソウの仲間クロヒメシライトソウ
小さいが肉厚な感じがする好石灰岩性のシライトソウの仲間。以前、飯能の仁田山峠近くの山の尾根筋でアズマシライトソウを見たが、もう少し華奢な感じがした。
※最近(2023年10月)中能登町のスギ林、石灰岩や方解石が石灰質でセメントされた川沿いの崖でクロヒメシライトソウを観察する機会を得た。葉はへら型(倒披針形)で遠目にはショウジョウバカマとそっくりであった。近づいてよく見るとシライトソウ独特の花柄も残存しいた。まいこみ平の個体は葉が丸く葉柄もそれほど長くなくクロヒメシライトソウかどうかよくわからない。

①クガイソウ
石灰岩地帯に広がる草原などではよく見られる。
②ミョウギカラマツ
詳しい方から石灰岩上に生えるカラマツソウの仲間と教えていただいた。
シシガシラ Spicantopsis niponica
シシガシラ科 シシガシラ属
シシガシラ
まいこみ平では、林道沿いの林縁の崖で普通に見られた。
ミヤマシシガシラ Struthiopteris castanea
シシガシラ科 ミヤマシシガシラ属

ミヤマシシガシラ
黒姫山では北面のウエットな崖で群生が見られたが、まいこみ平では、わずかに見られただけである。
オサシダ Spicantopsis amabilis
シシガシラ科 シシガシラ属
ヤマソテツ Plagiogyria matsumureana
キジノオシダ科 キジノオシダ属
ヤマソテツ
ツアーに参加する前、時間があったので下見を兼ねて勝山に登ってきた。北アルプスの北端が海に没するところで、標高が低くてもサカゲイノデ、ミヤマイタチシダ、シシガシラ、オサシダ、キジノオシダなどが見られた。
オウレンシダ Sitobolium wilfordii
コバノイシカグマ科 イヌシダ属
コタニワタリ Asplenium scolopendrium
チャセンシダ科 チャセンシダ属
オオバショリマ Oreopteris quelpartensis
ヒメシダ科 オオバショリマ属
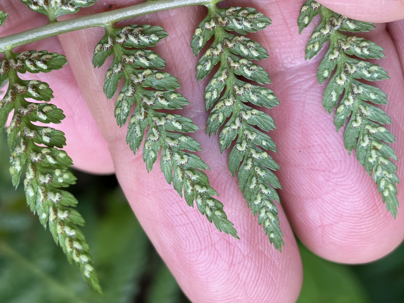
コシノサトメシダ Athyrium neglectum
メシダ科 メシダ属
コシノサトメシダ
まいこみ平に入る前(下る前)のウエットな林縁に生育。葉の大きさは40~60㎝(葉柄は20~30㎝)。コシノサトメシダの小羽片は有柄、葉は長い三角形で3~4㎝程度(タカネサトメシダの小羽片は2㎝程度。サトメシダの小羽片は大きいものでは8cm程度)。同定には葉柄の長さや葉柄基部の鱗片の色に注目されることがあるが、小羽片の大きさも違いが見られる。包膜の辺縁は細長い糸状。包膜は胞子のう群を覆うが多少胞子のう群が包膜外に見えることがあり、包膜辺縁の鋸歯は激しくほつれる。

①コシノサトメシダ、葉柄基部
②コシノサトメシダ、最下羽片
タカネサトメシダ Athyrium pinetorum
メシダ科 メシダ属
まいこみ平の低地に生育。前記のコシノサトメシダよりも低い凹地内林床に生育。葉は40㎝程度(葉身は20㎝程度)、葉は明るい緑色、2回羽状複葉。小羽片の形は基部が広い楔形で底辺の広い三角形、短柄がある。包膜は胞子のう群を完全に包み、辺縁は激しくほつれる。
シノブカグマ Arachniodes mutica
オシダ科 カナワラビ属
シノブカグマ
標高700m、ドリーネの上部で見られた。
まいこみ平ではあまり見かけなかった。ドリーネ上部周辺の林床で見られた。
ツルデンダ Polystichum craspedosorum
オシダ科 イノデ属

ツルデンダ
まいこみ平では意外にそれほどたくさん目にすることはなかった。
サカゲイノデ Polystichum retrosopaleaceum
オシダ科 イノデ属

糸魚川周辺では、サカゲイノデは海岸の森から山中まで広く生育していた。
まいこみ平のサワグルミやトチノキが生育する林床に生育するサカゲイノデ
竪型洞窟を持つドリーネ(すり鉢状の凹地)内で見られた花やシダ
①②ドリーネの中に生育する植物
標高600~700mにある竪型洞窟を伴うドリーネの底ではすり鉢状の凹地の底へ降りていくに従い気温が下がり、底にある竪穴の周りには8月なのに雪渓が残り気温は10~15℃でした。凹地の底は通年気温が低いため、一般に1000~3000mあるいは高緯度で見られる高山植物が群生していました。ウサギギク・ムシトリスミレ・キバナコマノツメ・ノビネチドリ・ミヤマアカバナ・クガイソウ・クルマユリ・コキンレイカ・イワガネゼンマイ・クジャクシダ・オオメシダ・ホソイノデ・アオチャセンシダ・ミヤマメシダ・エゾメシダなどが見られました。
①②ムシトリスミレ
オオメシダ Deparia pterorachis
メシダ科 シケシダ属
エゾメシダ Athyrium brevifrons
メシダ科 メシダ属
ドリーネの低部のガレ場に生育。まいこみ平では竪型洞窟を持つ深いドリーネの底だけで観察された。まいこみ平ではミヤマメシダは広く生育している。この地で観察されたエゾメシダはミヤマメシダに比べると①叢生する葉の数は少なく、②葉柄・中軸は淡緑色(紅色は帯びていない)で太くがっしりしている。③葉柄の鱗片は赤褐色で表面にしわがはいることがあり光沢はあるがミヤマメシダほどではない。また捻じれ具合も弱い。④葉はしなだれず葉先までまっすぐ葉を伸ばす(葉柄・中軸が太いためか)。
エゾメシダ、葉身
①ドリーネの底の岩場に生育するエゾメシダ
②エゾメシダ、葉身(中央)
アオチャセンシダ Asplenium viride
チャセンシダ科 チャセンシダ属
石灰岩に生育するアオチャセンシダ
南アルプスの釜無山や北岳の石灰岩地帯では標高1900~3000mの岩場で観察される。
ホソイノデ Polystichum braunii
オシダ科 イノデ属
不明なイノデ
オシダ科 イノデ属

ドリーネの底、冷気が立ちのぼる洞窟の崖に生育するイノデの仲間
ドリーネの底、冷気が立ちのぼる洞窟の崖に生育するイノデの仲間
ドリーネの底、冷気が立ちのぼる洞窟の崖に生育するイノデの仲間。うっかり、細部の撮影を忘れた。鱗片のようすや胞子のう群のようすなどわからない。葉身下部羽片は短縮しトヨグチイノデの可能性があるがよくわからない。いつか機会があれば確認してみたい。
おしまいに
このツアーはおもに地質を紹介する企画なので、遠慮しながらシダやそのほかの植物を観察しました。ほんとはじっくり植物を観察したかったのですが、横目で見ながら多くの植物の脇を通り過ぎました。できればまた、来年の7月くらいには参加できればと思っています。







































